电线电缆网 > 新手区 > 绝缘机械强度不合格怎么造成的(完整版)
绝缘机械强度不合格怎么造成的 - 无图版
905661632 --- 2025-01-02 13:42:50
1
同厂家的交联聚乙烯和交联聚烯烃的料都会偶尔出现抗张强度或者断裂伸长率不合格,是天气变冷的原因,还是什么情况,该怎么预防啊?
905661632 --- 2025-01-02 13:43:42
2
求各路大神工程师们给解答一下疑惑
carbon11 --- 2025-01-02 14:01:35
3
辐照交联还是自交联啊?大概率是交联工艺造成的。大批量的不合格才可能是配方除了问题。
liarzhang --- 2025-01-02 14:34:18
4
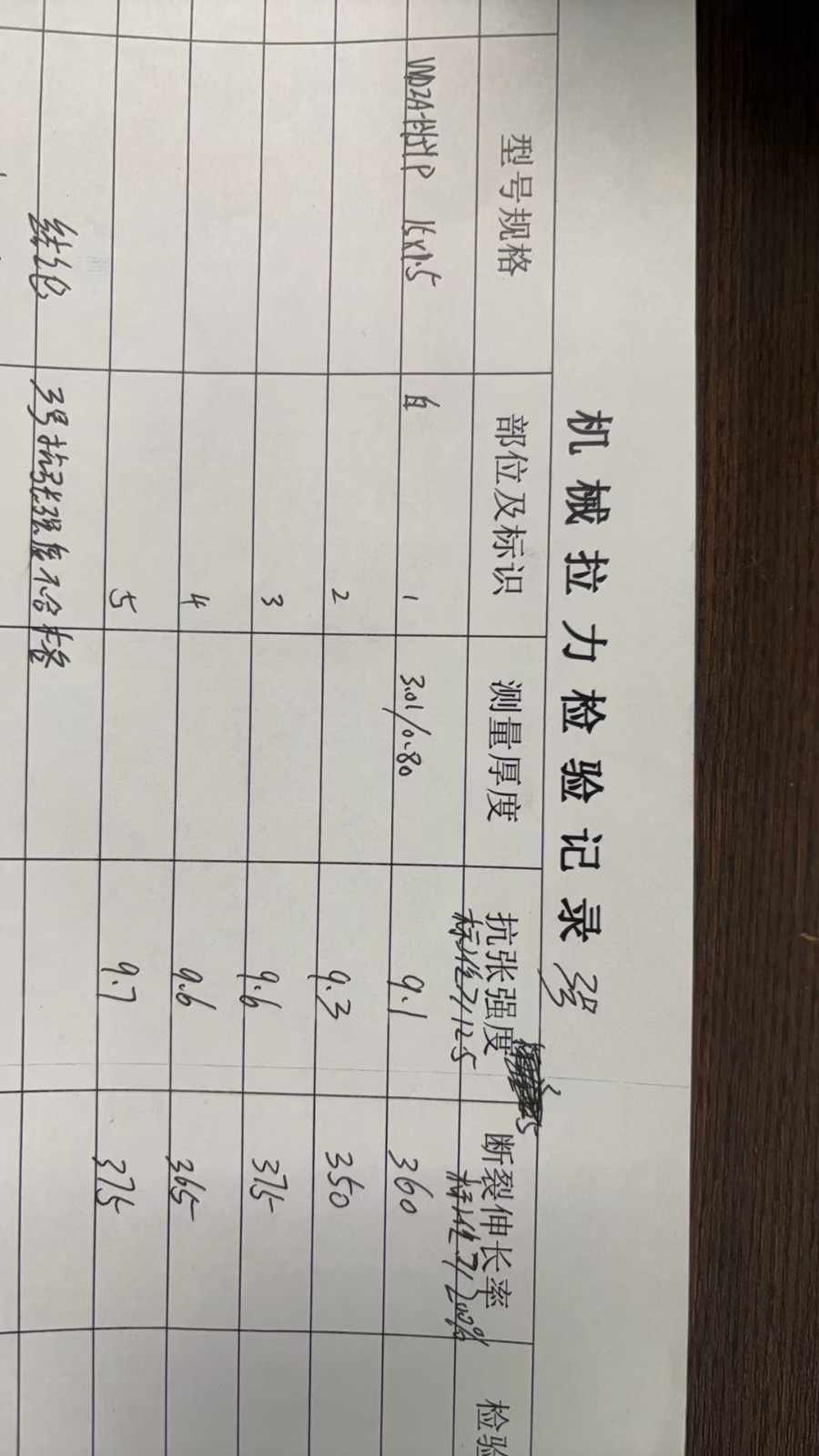
有没有检测结果上传来看看啊。
905661632 --- 2025-01-02 15:18:17
5
carbon11:辐照交联还是自交联啊?大概率是交联工艺造成的。大批量的不合格才可能是配方除了问题。
小批量的,也就一冷了,偶尔出现几次这个情况
905661632 --- 2025-01-02 15:18:43
6
carbon11:辐照交联还是自交联啊?大概率是交联工艺造成的。大批量的不合格才可能是配方除了问题。
辐照交联的
astroboy --- 2025-01-02 19:36:19
7
辐照剂量没控制好
onewindy --- 2025-01-03 07:55:06
8
这种情况容易解决,最快速的方法是提高辐照剂量。
weidong --- 2025-01-03 08:08:46
9
辐照交联没有做好,热延伸测一下
cjzyz1 --- 2025-01-03 08:14:28
10
24H后再测下,还不行剂量还能加点,伸率好着呢
daoshudiyi --- 2025-01-03 08:18:03
11
上面未辐照前测量数据的话,偶尔出现的话可以排除配方的问题,可以考虑以下情况。
1.挤塑机前一批生产的是否是非辐照塑料,螺桶螺杆等未清理干净,造成首检时抗张强度和伸率拉不上去,这种情况开一个班基本会恢复正常。
2.是否本色料添加色母,色母添加超过1%以上就会影响,色母伴的不均匀也会影响,建议从厂家订购配好的颜色。
3.是否预热和水温过低,未经过预热和预热温度过低,水温常温(要求水温至少60℃),都会有影响。
4.挤塑的工作温度,一般辐照交联根据车台夏天生产温度提高5~10度以上,以塑料不起泡。
905661632 --- 2025-01-03 08:47:58
12
daoshudiyi:上面未辐照前测量数据的话,偶尔出现的话可以排除配方的问题,可以考虑以下情况。
1.挤塑机前一批生产的是否是非辐照塑料,螺桶螺杆等未清理干净,造成首检时抗张强度和伸率拉不上去,这种情况开一个班基本会恢复正常。
2.是否本色料添加色母,色母添加超过1%以上就会影响,色母伴的不均匀也会影响,建议从厂家订购配好的颜色。
3.是否预热和水温过低,未经过预热和预热温度过低,水温常温(要求水温至少60℃),都会有影响。
4.挤塑的工作温度,一般辐照交联根据车台夏天生产温度提高5~10度以上,以塑料不起泡。
你说的很专业,去年我们一冷了就碰到这个问题了,过几天就没事了,量比较小,这次也是那个情况,本色没有添加色母,温度也提高调试了,辐照剂量增减也调试了,就是不行啊,关键这批活快到工期了
905661632 --- 2025-01-03 08:49:35
13
cjzyz1:24H后再测下,还不行剂量还能加点,伸率好着呢
会的,我们都是按最终结果才下定论呢
小周 --- 2025-01-03 13:03:56
14
如果是交联聚乙烯的话那就是辐照的问题了,如果是低烟无卤交联聚烯烃的绝缘料是合格的,可以问一下材料厂家
,
zpfei1024 --- 2025-01-03 14:10:30
15
辐照前的数据有吗
yanlvip --- 2025-01-03 15:22:14
16
伸长率指标还行,可以提高一下辐照机的百分比或降低以下速度试试,如果变化不大就有有可能是材料原因了。
905661632 --- 2025-01-05 10:34:03
17
有没有可能是机头的事啊?
zgyuan --- 2025-01-05 14:44:01
18
辐照胶料多加一些光引发剂就OK了
混炼不均匀造成的
1317483647 --- 2025-01-09 16:22:26
19
905661632:同厂家的交联聚乙烯和交联聚烯烃的料都会偶尔出现抗张强度或者断裂伸长率不合格,是天气变冷的原因,还是什么情况,该怎么预防啊?
你这个是无卤低烟交联聚烯烃的记录吧,无卤低烟交联聚烯烃绝缘的话好像强度9就合格呀,12.5是普通交联聚烯烃。
jfq119 --- 2025-01-10 08:10:33
20
1.5平方你们也是用辐照交联料,我们还是用二步法交联料